Одно из самых знаменитых мест Мирового океана.
На помощь океанологам пришел искусственный интеллект.
Марианская впадина — самое глубокое место на Земле. Она простирается примерно на 2550 километров в длину и на 11 километров в глубину. На самом дне Марианской впадины нет света, температура опускается до 1℃, а давление в 1071 раз выше атмосферного. Долгое время считалось, что в такой враждебной среде жизнь невозможна. Но оказалось, что это место кишит удивительными созданиями. Вот несколько существ, которых удалось заснять исследователям в ходе погружений.
Призрачная рыба-улитка
На кадрах с глубоководных аппаратов видно полупрозрачное, желеобразное существо без чешуи, которое спокойно плавает на глубине около 8 километров. Это марианская рыба-улитка (Pseudoliparis swirei) — самый глубоководный вид позвоночных, известный науке.

Её способность выживать в условиях сокрушительного давления поражает. Раньше учёные предполагали, что всё дело в особом химическом веществе, которое защищает белки от разрушения. Однако недавние генетические анализы показали, что её устойчивость — результат более сложной эволюционной адаптации. У рыбы-улитки не полностью окостеневший череп, что придаёт ему гибкость, а также есть несколько дополнительных копий генов, отвечающих за целостность структур внутреннего уха и устойчивость к давлению. На поверхности её тело, неспособное выдержать низкое давление, просто «растаяло» бы.
Гигантская «амёба»
На дне впадины можно увидеть крупные организмы, похожие на губку или коралл размером с ладонь. Это ксенофиофоры — гигантские одноклеточные существа, одни из самых крупных в мире. Тот факт, что одноклеточный организм может не просто выживать, но и процветать при таком давлении, удивляет биологов. Эти удивительные организмы находили на глубине почти 10 600 метров.

Название «ксенофиофора» переводится как «носитель чужеродных тел». Эти организмы строят свои хрупкие скелеты, склеивая частицы из окружающей среды, например, осадочные породы. Они играют роль «инженеров экосистемы», создавая укрытия для других, более мелких существ. Кроме того, ксенофиофоры накапливают в себе тяжёлые металлы, включая свинец и уран, играя важную роль в геохимических циклах океана.
Рой рачков-бокоплавов
Камеры батискафов не раз фиксировали, как тысячи существ, похожих на гигантских креветок, набрасываются на оставленную приманку. Это бокоплавы — ракообразные, которые на огромной глубине страдают «глубоководным гигантизмом». Если на мелководье они крошечные, то здесь могут достигать 34 сантиметров в длину.

Бокоплавы — главные падальщики бездны. Они способны обглодать скелет утонувшего кита за считаные часы. Однако их неразборчивость в еде делает их уязвимыми для загрязнения. Исследования показали, что все бокоплавы, выловленные в Марианской впадине, содержали в пищеварительном тракте как минимум одно пластиковое волокно.
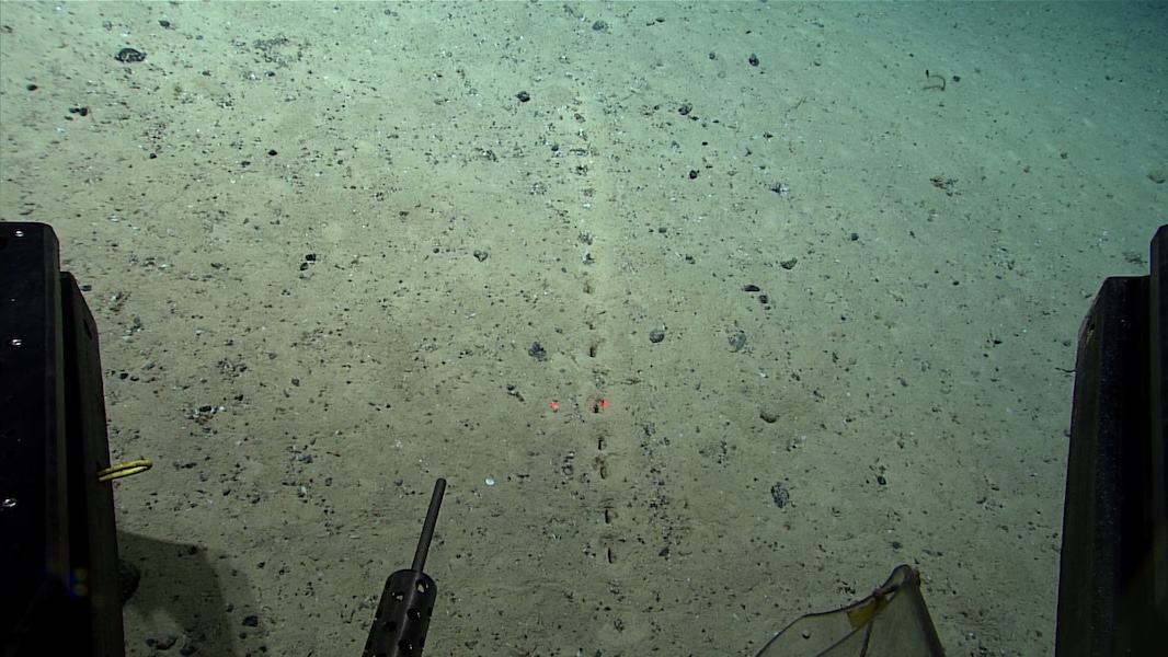
Таинственные следы на дне
Иногда на снимках дна Марианской впадины на иле видны удивительно ровные и чёткие борозды, словно кто-то медленно проползал по дну. Встречаются также цепочки небольших отверстий и «шлейфы», напоминающие следы от волочения предмета. Эти отметины заметны как в глубоких впадинах вроде Бездны Челленджера, так и на соседних участках, причём их форма и размеры разнообразны: от тонких параллельных линий до широких, тянущихся на десятки метров канав.

Учёные пока не могут дать однозначного ответа о том, кто или что оставляет эти следы. У исследователей есть несколько теорий:
-Живые организмы — от голотурий и амфипод до неизвестных, медленно передвигающихся жителей глубоководья.
-Следы от волочения мусора или пакетов, которые течения тянули по илу или следы от аппаратов и тросов исследовательских систем.
-Геофизические процессы. Эта гипотеза предполагает, что полосы сформировались в результате подводных сдвигов, локальных потоков или других геофизических процессов.
В каждом случае для подтверждения требуются прямые видеозаписи, образцы и сопоставление батиметрической карты с моментальными съёмками.
Огромные площади дна остаются плохо исследованы, и сами по себе эти загадочные отметины подчёркивают масштаб неизведанного: повторные наблюдения, длительная съёмка одного и того же участка и отбор проб помогают отличать свежие следы от древних рельефных форм, но окончательных ответов пока нет — каждая новая экспедиция приносит как доказательства привычных механизмов, так и новые вопросы.
Металлический звук
Гидрофоны записали в районе впадины странный, протяжный звук, похожий на металлический скрежет. Источник звука долгое время оставался загадкой, а версии варьировались от геологических до техногенных. Этот звук получил название «биотванг».
Разгадать тайну помог искусственный интеллект. Учёные проанализировали более 200 000 часов аудиозаписей и преобразовали звук в визуальные спектрограммы. Машинный алгоритм определил, что это специфический зов популяции китов-полосатиков Брайда. Оказалось, что «биотванг» — это «местный диалект», который использует только эта группа китов, обитающая в районе впадины.
Пластиковый пакет
Пожалуй, самый грустный кадр из Марианской впадины — это обычный пластиковый мусор на дне. Это наглядное доказательство того, что человеческое загрязнение достигло абсолютно всех, даже самых удалённых уголков планеты. Хотя знаменитый снимок пакета был сделан на глубине около 3,7 км, мусор находили и в самой Бездне Челленджера.

Оставить комментарий